1862 Railroad StreetStatham, GA 30666




Mortgage Calculator
Monthly Payment (Est.)
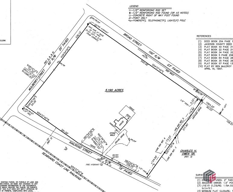
$3,878OPTIONS! CALLING ALL INVESTORS AND DEVELOPERS! $200k per acre and seller will subdivide! This 5.19 acres of HB zoned land in Barrow county is a steal of a deal. There is a house located on a portion of the property and still allowed as residential due to continual use, currently rented at $1500. making for additional income. Buy one acre or buy all, the land is commercially zoned and located right off Atlanta hwy SE making it a prime location to build. So if you've been waiting for the perfect time to put up a 50,000 sqft warehouse, a retail store, a mini storage building or more, This is the opportunity for you!1. 250,000 per acre and seller will subdivide!, 2. house located on a portion of the property and still allowed as residential due to continual use, cu, 3. 5.19 acres of HB zoned land in Barrow county
| 7 months ago | Price changed to $850,000 | |
| 7 months ago | Listing updated with changes from the MLS® | |
| 8 months ago | Listing first seen on site |
IDX information is provided exclusively for consumers' personal, non-commercial use, and may not be used for any purpose other than to identify prospective properties consumers may be interested in purchasing. The data provided is deemed reliable but is not guaranteed accurate by the MLS.
Did you know? You can invite friends and family to your search. They can join your search, rate and discuss listings with you.